




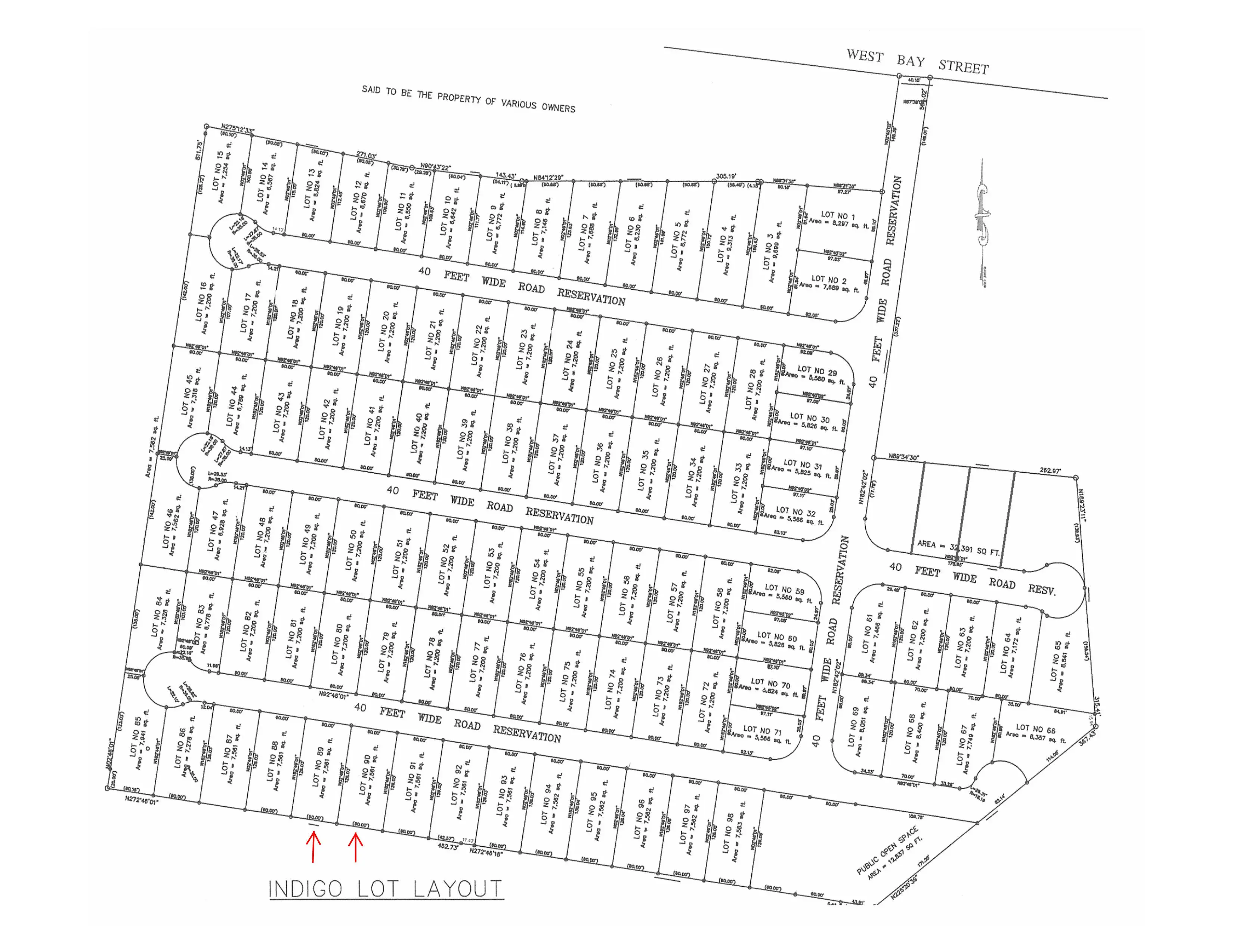
Start your investment portfolio today with Lot 89 Indigo!
This 7,561 sq. ft. multi family lot is the perfect lot for investors looking to build a triplex in the much sought after western neighborhood of Indigo off West Bay Street. The lovely and desirable gated community of Indigo is just a short drive to all the amenities of Western Nassau and residents of Indigo will benefit from a host of amenities including 24 hour security, a community pool, tennis court and the beautiful beach is just across the street from the neighborhood entrance.








